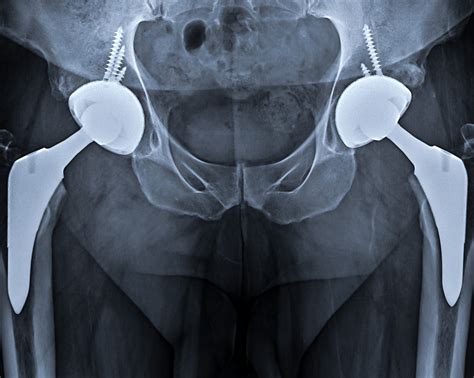
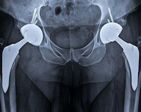
Hip Implant X Ray

Hip implants have revolutionized the field of orthopedics, providing relief and improved mobility for countless individuals suffering from hip joint issues. One of the critical aspects of managing hip implants is the use of hip implant X-ray imaging. This diagnostic tool plays a pivotal role in the pre-operative planning, post-operative monitoring, and long-term management of hip implants. Understanding the importance and process of hip implant X-ray imaging can help patients and healthcare providers make informed decisions.

Understanding Hip Implants

Hip implants are artificial devices designed to replace damaged or diseased hip joints. They are typically used to treat conditions such as osteoarthritis, rheumatoid arthritis, and hip fractures. The primary goal of a hip implant is to restore mobility, reduce pain, and improve the overall quality of life for the patient.

There are several types of hip implants, including:

  • Total Hip Replacement (THR): This involves replacing both the acetabulum (socket) and the femoral head (ball) with artificial components.
  • Hemiarthroplasty: This procedure replaces only the femoral head, leaving the acetabulum intact.
  • Revision Hip Replacement: This is performed to replace a previously implanted hip prosthesis that has failed or worn out.

The Role of Hip Implant X-Ray

Hip implant X-ray imaging is an essential diagnostic tool used to evaluate the condition of the hip joint and the implant itself. It provides detailed images that help orthopedic surgeons assess the alignment, positioning, and integrity of the implant. This information is crucial for both pre-operative planning and post-operative monitoring.

Pre-Operative Planning

Before a hip replacement surgery, hip implant X-ray imaging is used to:

  • Assess the extent of joint damage and deformity.
  • Determine the size and type of implant needed.
  • Plan the surgical approach and technique.

Accurate pre-operative planning ensures that the surgery is performed efficiently and effectively, minimizing complications and maximizing outcomes.

Post-Operative Monitoring

After the surgery, hip implant X-ray imaging is used to:

  • Verify the correct placement and alignment of the implant.
  • Detect any early signs of implant failure or complications.
  • Monitor the healing process and bone integration.

Regular follow-up hip implant X-ray imaging helps ensure that the implant is functioning properly and that the patient is recovering as expected.

Long-Term Management

Over time, hip implants can wear out or become loose, leading to pain and reduced mobility. Long-term management involves regular hip implant X-ray imaging to:

  • Assess the condition of the implant and surrounding bone.
  • Identify any signs of wear, loosening, or infection.
  • Determine the need for revision surgery.

Early detection of potential issues through hip implant X-ray imaging can prevent more serious complications and the need for additional surgeries.

Types of Hip Implant X-Ray Imaging

There are several types of hip implant X-ray imaging techniques used in orthopedics:

  • Anteroposterior (AP) View: This is the most common view, providing a front-to-back image of the hip joint.
  • Lateral View: This view shows the side of the hip joint, helping to assess the implant’s positioning and alignment.
  • Oblique View: This view provides a diagonal image of the hip joint, offering additional details about the implant and surrounding structures.

Each view offers unique insights into the condition of the hip joint and the implant, allowing for a comprehensive evaluation.

Interpreting Hip Implant X-Ray Images

Interpreting hip implant X-ray images requires a trained eye and a thorough understanding of orthopedic principles. Key factors to consider include:

  • Implant Positioning: The implant should be properly aligned and positioned within the hip joint.
  • Bone Integration: The implant should be well-integrated with the surrounding bone, indicating successful healing.
  • Wear and Tear: Signs of wear, such as thinning of the implant or bone, should be noted.
  • Loosening: Any signs of implant loosening, such as radiolucent lines around the implant, should be carefully evaluated.

Radiologists and orthopedic surgeons work together to interpret these images and make informed decisions about patient care.

Common Issues Detected by Hip Implant X-Ray

Regular hip implant X-ray imaging can detect a variety of issues, including:

  • Implant Loosening: This occurs when the implant becomes detached from the surrounding bone, leading to pain and instability.
  • Periprosthetic Fractures: These are fractures that occur around the implant, often due to trauma or stress.
  • Infection: Infections around the implant can cause pain, swelling, and other symptoms.
  • Wear and Tear: Over time, the implant and surrounding bone can wear down, leading to reduced mobility and pain.

Early detection of these issues through hip implant X-ray imaging allows for timely intervention and treatment.

Patient Preparation for Hip Implant X-Ray

Preparing for a hip implant X-ray is relatively straightforward. Patients should:

  • Wear comfortable clothing that can be easily removed or adjusted.
  • Avoid wearing jewelry or metal objects that could interfere with the imaging.
  • Inform the healthcare provider of any allergies or medical conditions that could affect the procedure.

During the procedure, the patient will be positioned on the X-ray table, and the technician will take the necessary images. The entire process typically takes only a few minutes.

Post-Imaging Care

After the hip implant X-ray imaging, patients can usually resume their normal activities immediately. However, it is important to:

  • Follow any specific instructions provided by the healthcare provider.
  • Schedule follow-up appointments as recommended.
  • Report any unusual symptoms or concerns to the healthcare provider.

Regular follow-up and communication with the healthcare provider are essential for ensuring the best possible outcomes.

📝 Note: Always follow the instructions provided by your healthcare provider for the best results and to ensure your safety.

Advancements in Hip Implant X-Ray Technology

The field of hip implant X-ray imaging continues to evolve, with advancements in technology improving the accuracy and efficiency of diagnostic imaging. Some of the latest developments include:

  • Digital Radiography: This technology uses digital sensors to capture images, providing higher resolution and faster processing times.
  • 3D Imaging: Three-dimensional imaging techniques, such as CT scans, offer detailed views of the hip joint and implant from multiple angles.
  • Artificial Intelligence: AI algorithms are being developed to assist in the interpretation of hip implant X-ray images, improving accuracy and efficiency.

These advancements are enhancing the ability of healthcare providers to diagnose and treat hip implant issues more effectively.

Case Studies and Examples

To illustrate the importance of hip implant X-ray imaging, consider the following case studies:

Case Study Patient Details Findings Outcome
Case 1 65-year-old female with osteoarthritis Implant loosening detected on hip implant X-ray Revision surgery performed successfully
Case 2 58-year-old male with hip fracture Periprosthetic fracture identified Surgical repair and rehabilitation
Case 3 70-year-old female with implant wear Significant wear and tear noted Implant replacement and physical therapy

These case studies highlight the critical role of hip implant X-ray imaging in diagnosing and managing hip implant issues.

In conclusion, hip implant X-ray imaging is an indispensable tool in the management of hip implants. From pre-operative planning to long-term monitoring, it provides valuable insights that help ensure the best possible outcomes for patients. Regular hip implant X-ray imaging, combined with advancements in technology and expert interpretation, continues to improve the quality of care for individuals with hip implants. Understanding the importance and process of hip implant X-ray imaging can empower patients and healthcare providers to make informed decisions and achieve optimal results.

Related Terms:

  • hip replacement xray normal
  • xray of hip replacement
  • hip replacement xray female
  • total hip replacement on xray
  • right hip replacement xray
  • total hip vs hemiarthroplasty xray
Facebook Twitter WA
Ashley
Ashley
Author
Passionate content creator delivering insightful articles on technology, lifestyle, and more. Dedicated to bringing quality content that matters.
You Might Like